Descripcion
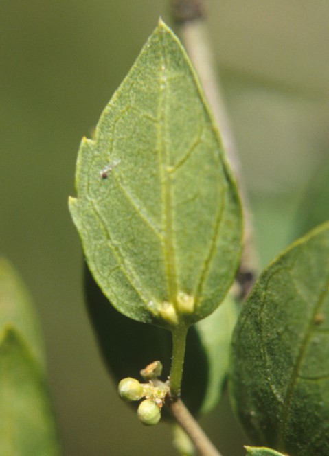
Árboles de 3-12 (20) m de alto; corteza rugosa, fisurada, grisácea; ramas en zigzag, enteras (no surcadas), glabras o subglabras, espinosas; espinas estipulares geminadas, de 2-8(-20) mm de largo, rectas, grisáceas, glabras, cuando subglabras con escasos tricomas de color blanco. Hojas con pecíolo de 3-4 mm de largo, subglabro o piloso con tricomas color blanco; láminas ovadas a oval-lanceoladas, de (2,5-)3-4(-6) × (0,9-)1,5-2(-2,5) cm, el ápice atenuado, los márgenes enteros o serrados con dientes desde el tercio medio hasta el ápice o restringidos al tercio superior, base cuneada, cartáceas a membranáceas; concoloras, verde claras-brillantes; cara adaxial y abaxial lisas al tacto, glabras o subglabras, cuando subglabras con tricomas blancos y concentrados en las nervaduras; cara abaxial con nervaduras prominentes amarillentas o beige, contrastando con la superficie laminar; domacios conspicuos, glabros o con pocos tricomas no ciliados. Inflorescencias axilares, contraídas en fascículos cimosos. Flores estaminadas subglabras con tricomas blancos. Flores perfectas con ovario glabro; estilo nulo, ramas estigmáticas sésiles y 2-lobuladas. Fruto una drupa de 4-7 × 3-5 mm, amarillo-anaranjada; epicarpo glabro ; mesocarpo homogéneo, no ornamentado; pireno globoso, mediano o pequeño, de 4,47(-6) × 3,75(-4,27) mm, blanco, no apiculado, con verrugas de ápices redondeados distribuidos irregularmente.
Distribucion y Habitat
Habita en la Argentina, Bolivia, Brasil y Uruguay. En la Argentina presenta una distribución muy asociada al Chaco Seco y al Espinal, se encuentra en los talares de la costa bonaerense. También se encuentra en el Monte, en su mitad norte vecina al Chaco Seco.
Sinónimos
Celtis tala Gillies ex Planch.
-
Celtis sellowiana Miq. Fl. Bras. 4(1): 179, t. 63. 1853
Celtis spinosa Spreng. var. weddelliana (Planch.) Baehni var. weddelliana (Planch.) Baehni Candollea 7(preprint): 204. 1936
Celtis tala Gillies ex Planch. var. gilliesiana Planch. var. gilliesiana Planch. Prodr. 17: 191. 1873
Celtis tala Gillies ex Planch. var. weddelliana Planch. var. weddelliana Planch. Prodr. 17: 191. 1873 Nom. illeg. superfl. para Momisia integrifolia Wedd.
Celtis weddelliana (Planch.) Romanczuk Hickenia 1(2): 7. 1976
Momisia integrifolia Wedd. Ann. Sci. Nat. Bot., sér. 3 18(4): 196. 1852
Celtis tala Gillies ex Planch. var. sellowiana (Miq.) Kuntze var. sellowiana (Miq.) Kuntze Revis. Gen. Pl. 3(3): 294. 1898
Momisia tala Prodr. 17: 191. 1873
Bibliografía
-
Sayagués, L., Graf, E. & Delfino, L. Año: 2000
Romanczuk, M. C. Año: 1987
Kiesling, R. Año: 1994
Hunziker, A. T. & Dottori, N. M. Año: 1976
Chamorro, D., Zamengo, H. B., Mogni, V. Y., Torres, R. B., Gaglioti, A. L., Da-Silva, P. R., Leme, F. M., Prado, D. E. & Oakley, L. J. Año: 2021
Asmus, J., Chamorro, D., Mogni, V. Y., Oakley, L. J. & Prado, D. E. Año: 2018
Ejemplares de referencia
| Colector | N° Colect. | Especie | Departamento | Provincia | Imagen |
|---|---|---|---|---|---|
|
|
355 | Cafayate | Salta |
|
|
|
|
1721 | Artigas |
|
||
|
|
22808 | Oropeza | Chuquisaca |
|
|
|
|
3079 | Campana | Buenos Aires |
|
|
|
|
10250 | Tercero Arriba | Córdoba |
|
|
|
|
10693 | San Luis |
|
||
|
|
12289 | Famatina | La Rioja |
|
|
|
|
21154 | La Paz | Entre Ríos |
|
|
|
|
-1 | (SI 237720) | La Plata | Buenos Aires |
|
|
|
4958 | General Lavalle | Buenos Aires |
|
|
|
|
5416 | La Plata | Buenos Aires |
|
|
|
|
7204 | San Nicolás | Buenos Aires |
|
|
|
|
8498 | General Lavalle | Buenos Aires |
|
|
|
|
10121 | General Madariaga | Buenos Aires |
|
|
|
|
77 | -A-55 | San Alberto | Córdoba |
|
|
|
5970 | General San Martín | Córdoba |
|
|
|
|
5972 | Colón | Córdoba |
|
|
|
|
5984 | Famaillá | Tucumán |
|
|
|
|
5986 | Tucumán |
|
||
|
|
6145 | El Carmen | Jujuy |
|
|
|
|
2433 | Cerro Largo |
|
||
|
|
5551 | San José |
|
||
|
|
159 | Capital | Catamarca |
|
|
|
|
1732 | Rio Grande do Sul |
|
||
|
|
72 | San Cosme | Corrientes |
|
|
|
|
51713 | Cafayate | Salta |
|
|
|
|
17653 | Capital | Córdoba | ||
|
|
18125 | General Ángel V. Peñaloza | La Rioja | ||
|
|
4520 | Concordia | Entre Ríos |
|
|
|
|
12388 | Rosario de la Frontera | Salta |
|
|
|
|
5283 | Campana | Buenos Aires |
|
|
|
|
958 | Andalgalá | Catamarca |
|
|
|
|
917 | Tala | Entre Ríos |
|
|
|
|
6368 | Sauce | Corrientes |
|
|
|
|
9084 | Capital | La Rioja |
|
|
|
|
2596 | Campana | Buenos Aires |
|
|
|
|
27905 | Trancas | Tucumán |
|
|
|
|
30329 | La Caldera | Salta |
|
|
|
|
9 | Figueroa | Santiago del Estero |
|
|
|
|
-1 | (BAB 48597) | Independencia | La Rioja |
|
|
|
85 | Distrito Federal |
|
||
|
|
1600 | Tulumba | Córdoba |
|
|
|
|
515 | Merlo | Buenos Aires |
|
|
|
|
9429 | C | Paclin | Catamarca |
|
|
|
38305 | Vallegrande | Santa Cruz |
|
|
|
|
47770 | Florida | Santa Cruz |
|
|
|
|
50669 | Caballero | Santa Cruz |
|
|
|
|
-1 | (SI 17644) | Capital | Córdoba |
|
|
|
3104 | Uruguay | Entre Ríos |
|
|
|
|
6999 | Cerrillos | Salta |
|
|
|
|
9006 | La Viña | Salta |
|
|
|
|
7853 | La Viña | Salta |
|
|
|
|
7177 | Punta Indio | Buenos Aires |
|
|
|
|
3744 | Ojo de Agua | Santiago del Estero |
|
|
|
|
7428 | Ischilín | Córdoba |
|
|
|
|
8526 | Valle Fértil | San Juan |
|
|
|
|
-1 | (SI 202353) | General Güemes | Salta |
|
|
|
842 | Capital | Tucumán |
|
|
|
|
843 | Capital | Tucumán |
|
|
|
|
844 | Capital | Tucumán |
|
|
|
|
845 | Capital | Tucumán |
|
|
|
|
218 | Guasayán | Santiago del Estero |
|
|
|
|
6008 | Gualeguaychú | Entre Ríos |
|
|
|
|
11652 | Mercedes | Corrientes |
|
|
|
|
11499 | Metán | Salta |
|
|
|
|
2818 | Almirante Brown | Chaco |
|
|
|
|
3287 | Villaguay | Entre Ríos |
|
|
|
|
-1 | (BAB 23856) | La Plata | Buenos Aires |
|
|
|
-1 | (BAB 33597) | Catamarca |
|
|
|
|
-1 | (SI 237639) | La Plata | Buenos Aires |
|
|
|
30 | San Isidro | Buenos Aires |
|
|
|
|
1285 | Cerrillos | Salta |
|
|
|
|
1308 | La Viña | Salta |
|
|
|
|
1267 | San Isidro | Buenos Aires |
|
|
|
|
1524 | La Plata | Buenos Aires |
|
|
|
|
1639 | Guasayán | Santiago del Estero |
|
|
|
|
362 | Vallegrande | Santa Cruz |
|
Nombre Vulgar y Usos
Tipo y Observaciones
Material Tipo: Argentina. San Luis. Sin localidad consignada, s.d., J. Gillies s.n. [lectotipo, K 000512937!, designado por M. C. Romanczuk, Hickenia 1(2): 7. 1976; isolectotipos, E 00641062!, GH 00267594!].
Observaciones: Nombres vernáculos y usos. “Tala”; “tala árbol”. La madera es dura; se la utiliza para fabricar cabos de herramientas, postes y como combustible. Su polen es alergeno.